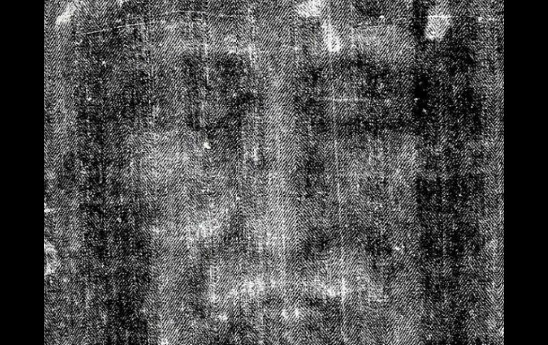
Cultura | La tela tiene impresa una tenue imagen de un hombre barbado Revela estudio autenticidad de la Sábana Santa de Turín Tiene la misma consistencia de los que se utilizaban para enterrar a los muertos en la época de Cristo, hace unos 2000 años Por: NTX 1 de abril de 2013 - 18:53 hs La tela que ahora se sabe cubre los años en que vivió Cristo, anteriormente fue sometida a estudios de carbono 14. ARCHIVO / CIUDAD DE MÉXICO (01/ABR/2013).- Un reciente estudio científico reveló que la Sábana Santa de Turín, de la que se decía era una falsificación de la época medieval, es real y podría haber sido utilizada para envolver el cuerpo de Cristo. Las pruebas a las que se sometió el también conocido como manto sagrado señalan que el lienzo, de 14 pies de largo, tiene la misma consistencia de los que se utilizaban para enterrar a los muertos en la época de Cristo, hace unos 2000 años. De acuerdo con información difundida por agencias internacionales, la tela que tiene impresa una tenue imagen de un hombre barbado, presenta numerosas manchas de sangre, las cuales coinciden con las heridas de pies y muñecas que sufrió Cristo. La investigación a cargo del experto en medición mecánica y térmica de la Universidad de la Facultad de Ingeniería de Padua, Giulo Fanti, y del periodista Saverio Gaeta consistió en examinar las fibras de la Sábana Santa en tres pruebas, dos químicas y una mecánica. Los estudios químicos se realizaron con luz infrarroja, mientras que el mecánico se ejecutó con espectroscopía, un procedimiento que a través de longitudes de onda mide la radiación. La tela que ahora se sabe cubre los años en que vivió Cristo, anteriormente fue sometida a estudios de carbono 14, que apuntaron a que la manta sagrada perteneció a los años 1260 a 1390. No obstante, los expertos sugieren que estas pruebas dejan de lado la posible contaminación con agua y fuego a través del tiempo. Temas Patrimonio Investigación cultural Lee También Presentan a los cinco finalistas del Premio Adolf B Horn Investigación de Rancho Izaguirre no está archivada; 12 funcionarios están involucrados ¿Qué día es la Romería 2025 en Guadalajara? Guadalajara: la ciudad que respira arte Recibe las últimas noticias en tu e-mail Todo lo que necesitas saber para comenzar tu día Registrarse implica aceptar los Términos y Condiciones