Martes, 11 de Noviembre 2025
Internacional | El huracán, de categoría 5, mantiene vientos de hasta 290 kilómetros por hora

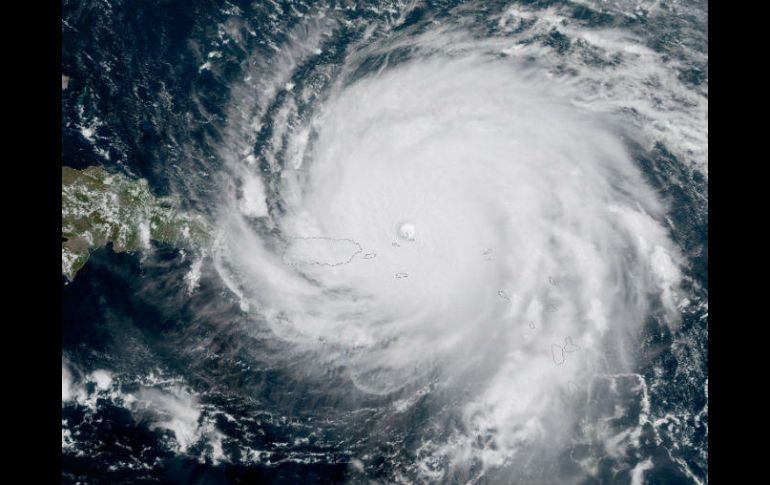
'Irma' deja Puerto Rico atrás y se acerca a La Española

El huracán, de categoría 5, mantiene vientos de hasta 290 kilómetros por hora

Por: NTX

ESTADOS UNIDOS (07/SEP/2017).- El poderoso huracán 'Irma' dejó hoy atrás la isla de Puerto Rico y amenaza ahora al noreste de la República Dominicana con vientos de hasta 290 kilómetros por hora que lo mantienen en categoría 5, la máxima, informó el Centro Nacional de Huracanes (NHC) de Estados Unidos.

De acuerdo al último boletín del NHC de las 06:00 GMT, "el ojo de 'Irma' se alejará de Puerto Rico esta mañana, pasará justo al norte de la costa de La Española más tarde, y se ubicará cerca de las Islas Turcas y Caicos y del sureste de Bahamas esta noche".

A esa hora, el ojo del huracán estaba 410 kilómetros al este-sureste de la británica Isla Gran Turca y avanzaba a una velocidad de 26 kilómetros por hora en dirección oeste-noroeste, un movimiento que los meteorólogos prevén que mantenga en las próximas 48 horas.

Por otro lado, el NHC informó que 'José' "sigue intensificándose" en el Atlántico, con vientos de hasta 140 kilómetros por hora y un movimiento de 28 kilómetros por hora en dirección oeste.

Este huracán, de categoría 1, está a mil 485 kilómetros de las Antillas Menores y no representa por el momento una amenaza.

Se espera, sin embargo, que se fortalezca a lo largo de las próximas 48 horas.

Finalmente, el huracán 'Katia' está "a la deriva" en el suroeste del Golfo de México.

También de categoría 1, el ojo de 'Katia' se ubica 335 kilómetros al este de Tampico y 310 kilómetros al norte-noroeste de Veracruz.

El huracán avanza ahora a una velocidad de 4 kilómetros por hora en dirección este-sureste y con vientos máximos de hasta 130 kilómetros por hora.

Pese a estar ahora "a la deriva", se espera que en las próximas 48 horas se fortalezca y que se acerque a la costa.

"Se prevé poco movimiento hasta final del día, pero se pronostica que el huracán girará luego hacia el suroeste y se aproximará a la costa el viernes por la noche o el sábado por la mañana", apuntó el NHC.

Conoce más sobre los huracanes: Interactivo

(Para dispositivos móviles, pulsa aquí)

Temas

Recibe las últimas noticias en tu e-mail

Todo lo que necesitas saber para comenzar tu día

Registrarse implica aceptar los Términos y Condiciones