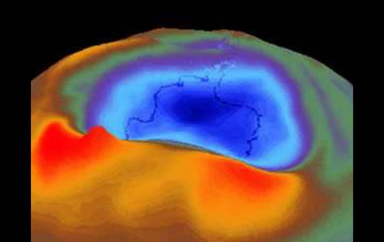
Tecnología | Esto representa la medida más importante después de los récords del 2000 y 2006 Detectan el tercer mayor agujero en la capa de ozono Esto representa la medida más importante después de los récords registrados en 2000 y 2006 Por: EFE 29 de octubre de 2015 - 08:23 hs La media calculada durante treinta días del agujero de ozono ha de 26.9 millones de kilómetros cuadrados. ESPECIAL / wmo.int GINEBRA, SUIZA (29/OCT/2015).- La Organización Meteorológica Mundial (OMM) anunció que este octubre se ha medido el tercer mayor agujero de la capa de ozono registrado, aunque aclaró que esto no contradice el proceso de recuperación de esta protección natural contra los rayos solares. "Esto muestra que el problema del agujero de ozono sigue con nosotros y que hay que mantenerse vigilante, pero no hay razón para una alarma indebida", aseguró el científico Geir Braathen, del Servicio Atmosférico de la OMM. La disminución de la capa de ozono ocurre anualmente durante la primavera en el hemisferio sur debido a las temperaturas extremadamente frías en la estratosfera (ubicada a unos 25 kilómetros de altura) y a la presencia en la atmósfera de gases que devoran el ozono. Según la OMM, la media calculada durante treinta días del agujero de ozono ha sido este año de 26.9 millones de kilómetros cuadrados, lo que representa la tercera medida más importante después de los récords registrados en 2000 y 2006. Los científicos calcularon el récord para un solo día el pasado 2 de octubre, cuando el agujero alcanzó 28.2 kilómetros cuadrados, su dimensión máxima para este año. Las temperaturas en la estratosfera antártica varían de año en año, lo que hace que algunos años el agujero de la capa de ozono sea relativamente pequeño y otros relativamente grande. "De manera general, esto no revierte la recuperación de largo plazo para la capa de ozono que se proyecta en las próximas décadas", indicó la OMM. Temas Medio Ambiente Estudios científicos Capa de Ozono Tierra Lee También Llega "La Niña" y este será su impacto según las predicciones ¿Cuál es la mejor hora para ver la lluvia de estrellas HOY en México? No puedo tener piedad de ellos: Hugo Alón, víctima de los ataques de Hamas Tren Maya afectó cenotes, reconoce Alicia Bárcena Recibe las últimas noticias en tu e-mail Todo lo que necesitas saber para comenzar tu día Registrarse implica aceptar los Términos y Condiciones