Internacional

Foto de huracán 'Matthew' como 'cráneo siniestro' se vuelve viral

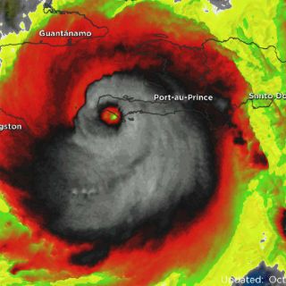
Al añadir colores a la imagen satelital la tormenta asemeja a un cráneo

MIAMI, ESTADOS UNIDOS (05/OCT/2016).- El huracán “Matthew”, que tras su paso por Haití y Cuba con categoría cuatro descendió este miércoles a categoría tres, ha sido catalogado como una tormenta monstruosa, y ahora una imagen en donde semeja un cráneo se ha vuelto viral en internet.
 
La imagen satelital fue publicada el martes por el meteorólogo Stu Ostro de The Weather Channel, cuando el huracán tocó tierra en Haití. Se añadieron colores a las imágenes para ayudar a los meteorólogos a encontrar las partes más intensas del fenómeno meteorológico.
 
La imagen muestra el huracán a través de una cámara de visión infrarroja que fue ajustada para mostrarlo en colores que destacan su forma, lo que permitió que pudieran apreciarse unos dientes como los del personaje del cómic "Ghost Rider", o también parecidos a los del "Grinch".
 
Paul Meyer, científico atmosférico de la Oficina de Ciencias de la Tierra de la NASA, dijo a CNN que los "dientes" del cráneo son en realidad frías nubes convectivas.
 
“Matthew” es el huracán más poderoso que ha atravesado el Caribe en la última década y hasta el momento ya dejó 11 muertes a su paso por Haití, Cuba, República Dominicana y San Vicente.

Temas

Sigue navegando