Internacional

Poderoso tifón ‘Noru’ amenaza a Japón

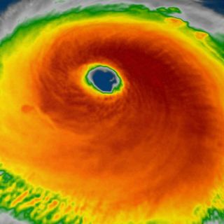
El fenómeno lleva vientos sostenidos de 204 kilómetros por hora

WELLINGTON, NUEVA ZELANDA.- (31/JUL/2017).- Un poderoso tifón en el océano Pacífico que se convirtió en el ciclón más fuerte del Hemisferio Norte en lo que va del año, ha perdido un poco de su fuerza pero de todas formas representa una amenaza para Japón para el fin de semana.

El tifón Noru tenía vientos sostenidos de 204 kph (127 mph) el martes con ráfagas de hasta 250 kph (155 mph), de acuerdo con el Centro Conjunto de Alerta de Tifones del ejército de Estados Unidos.

Esos números lo hacen posicionarse como un ciclón de categoría 4. The Weather Channel informó que Noru alcanzó la categoría 5 en su momento de mayor apogeo en el Hemisferio Norte, convirtiéndose en la tormenta más fuerte en lo que va del año.

También reportó que Noru se desplazará lentamente hacia el noroeste y podría tocar tierra en Japón el fin de semana, aunque todavía es muy pronto para saber con certeza lo que podría ocurrir.

Temas

Sigue navegando