México
'Dora' no tocará costas mexicanas, pero beneficiará campo, dice Conagua
El titular del organismo José Luis Luege Tamargo indicó que se esperan alrededor de 30 fenómenos naturales en lo que resta del año; no todos alcanzarán la categoría de huracanes
CIUDAD DE MÉXICO (21/JUL/2011).- El titular de la Comisión Nacional del Agua (
Conagua), José Luis Luege Tamargo, explicó que el huracán
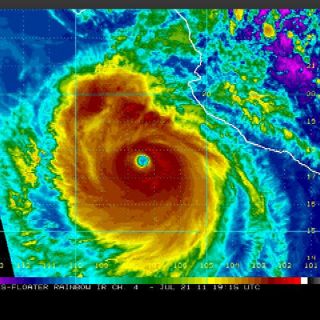
''Dora'', que muestra dirección paralela a la costa del Pacífico, probablemente no tocará suelo mexicano, pero las lluvias que genere beneficiarán al agro nacional tras prolongada sequía.
Agregó que las ondas tropicales continuarán descargando grandes cantidades de agua en todo el país, lo que calificó como benéfico, luego de la prolongada sequía que se vivió.
"El balance es positivo; en este momento, todo el territorio está bajo diferentes fenómenos con mucha lluvia; tenemos por un lado el huracán ''Dora'' con categoría 4, que se clasifica como un súper huracán, que afortunadamente su dirección es paralela a la costa del Pacífico y va hacia mar abierto.
"Tenemos dos tormentas tropicales en el Atlántico, la onda tropical 10, y un fenómeno en el centro del país, lo que origina mucha lluvia, lo que es muy benéfico después de una sequía muy fuerte", destacó el funcionario en San Lázaro.
Luege Tamargo indicó que se esperan alrededor de 30 fenómenos naturales en lo que resta del año; sin embargo, aclaró no todos alcanzarán la categoría de huracanes.
"No necesariamente todos llegan a ser huracanes, se les bautiza cuando pasan de onda tropical a tormenta tropical", apuntó.
Entrevistado momentos antes de reunirse con la Comisión de Derechos Humanos de la Cámara de Diputados, el funcionario precisó que las inundaciones que se registraron hace unas semanas se deben a la misma situación que acontece año con año, es decir, zonas bajas e irregulares que no debieran ser habitadas.
"La Ciudad de México se ha convertido en una zona muy vulnerable por el crecimiento desmedido y desordenado, y los hundimientos a los que se ve sometido el suelo del Valle de México", precisó.
"La áreas de protección civil han brindado buena atención y el servicio meteorológico ha dado los avisos oportunamente; sin embargo, se han registrado fallecimientos desgraciadamente por falta de precaución de la población", sostuvo.
Destacó que existe buena coordinación con el estado de México, principalmente en lo concerniente a obras preventivas como el túnel Emisor Oriente, que tiene una inversión de 19 mil millones de pesos y que conectará al Río de los Remedios.
Agregó que las ondas tropicales continuarán descargando grandes cantidades de agua en todo el país, lo que calificó como benéfico, luego de la prolongada sequía que se vivió.
"El balance es positivo; en este momento, todo el territorio está bajo diferentes fenómenos con mucha lluvia; tenemos por un lado el huracán ''Dora'' con categoría 4, que se clasifica como un súper huracán, que afortunadamente su dirección es paralela a la costa del Pacífico y va hacia mar abierto.
"Tenemos dos tormentas tropicales en el Atlántico, la onda tropical 10, y un fenómeno en el centro del país, lo que origina mucha lluvia, lo que es muy benéfico después de una sequía muy fuerte", destacó el funcionario en San Lázaro.
Luege Tamargo indicó que se esperan alrededor de 30 fenómenos naturales en lo que resta del año; sin embargo, aclaró no todos alcanzarán la categoría de huracanes.
"No necesariamente todos llegan a ser huracanes, se les bautiza cuando pasan de onda tropical a tormenta tropical", apuntó.
Entrevistado momentos antes de reunirse con la Comisión de Derechos Humanos de la Cámara de Diputados, el funcionario precisó que las inundaciones que se registraron hace unas semanas se deben a la misma situación que acontece año con año, es decir, zonas bajas e irregulares que no debieran ser habitadas.
"La Ciudad de México se ha convertido en una zona muy vulnerable por el crecimiento desmedido y desordenado, y los hundimientos a los que se ve sometido el suelo del Valle de México", precisó.
"La áreas de protección civil han brindado buena atención y el servicio meteorológico ha dado los avisos oportunamente; sin embargo, se han registrado fallecimientos desgraciadamente por falta de precaución de la población", sostuvo.
Destacó que existe buena coordinación con el estado de México, principalmente en lo concerniente a obras preventivas como el túnel Emisor Oriente, que tiene una inversión de 19 mil millones de pesos y que conectará al Río de los Remedios.