México Se forma zona de inestabilidad al suroeste de Colima 3 de noviembre de 2015 - 06:44 hs Conagua Estados
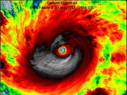
Internacional Bautizan como 'Chapala' a inusual ciclón en oriente próximo 30 de octubre de 2015 - 12:08 hs Asia Medio Oriente
Tecnología Alertan la probable formación de más huracanes en el país 25 de octubre de 2015 - 11:46 hs Fenómenos Naturales Clima
México Pronostican formación de ciclón en Golfo de Tehuantepec 20 de octubre de 2015 - 09:37 hs Chiapas Estados
México Prevén posible formación de ciclón en el Atlántico 18 de octubre de 2015 - 07:34 hs Conagua Clima
Jalisco Jalisco presentará clima nublado con precipitaciones 1 de octubre de 2015 - 06:52 hs Municipios Clima
México Amplía a todo Guerrero alerta naranja por 'Marty' 29 de septiembre de 2015 - 13:22 hs Estados Clima
Internacional Tormenta tropical 'Joaquín' se forma en el Atlántico 29 de septiembre de 2015 - 07:16 hs Norte América Estados Unidos
México Baja presión en el Pacífico puede evolucionar a ciclón tropical 26 de septiembre de 2015 - 11:44 hs Conagua Estados