1 Jalisco Iglesia católica preparada para festividades de Semana Santa y Pascua: Cardenal de Guadalajara
Jalisco Lo peor del huracán 'Patricia' ya pasó: Enrique Alfaro 23 de octubre de 2015 - 19:36 hs Municipios Huracanes
Entretenimiento Cancelan fecha de 'El Potrillo' por huracán 'Patricia' 23 de octubre de 2015 - 19:21 hs Música Alejandro Fernández
Jalisco Hasta ahora no hay afectaciones severas: Protección Civil 23 de octubre de 2015 - 19:03 hs Conagua Municipios
Jalisco Instalarán centros de acopio en la ZMG por 'Patricia' 23 de octubre de 2015 - 18:10 hs DIF en Jalisco Municipios
Economía Abrirán puente aéreo desde Puerto Vallarta a estados y el DF 23 de octubre de 2015 - 18:09 hs Empresas Aerolíneas
Jalisco Turistas se alojan en refugios de Puerto Vallarta 23 de octubre de 2015 - 17:28 hs Municipios Huracanes
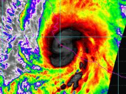
Jalisco Ojo de 'Patricia' toca tierra en costa de Jalisco 23 de octubre de 2015 - 17:21 hs Municipios de la Costa de Jalisco Municipios
Jalisco Cruz Roja Mexicana envía equipo para Jalisco y Colima 23 de octubre de 2015 - 17:11 hs Municipios Puerto Vallarta