1 Jalisco La Secretaría de Educación premia lo mejor del talento escénico y plástico de las escuelas de Jalisco
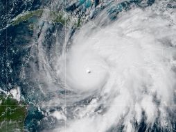
Internacional Esta es la última actualización de la trayectoria de "Melissa" 29 de octubre de 2025 - 12:24 hs Huracanes Huracán Melissa
Internacional Papa León XIV se solidariza con poblaciones afectadas por huracán "Melissa" 29 de octubre de 2025 - 07:56 hs Huracanes Papa León XIV
Internacional Huracán Melissa golpea Jamaica y ahora va en dirección hacia Cuba 28 de octubre de 2025 - 23:36 hs Huracanes Cuba
Internacional ¿Por qué el huracán Melissa es considerado peligroso? 28 de octubre de 2025 - 22:27 hs Huracanes Cuba
Internacional Huracán Melissa deja severos daños en hospitales, viviendas y carreteras de Jamaica 28 de octubre de 2025 - 17:09 hs Huracanes Ciclones
Internacional El ojo del huracán "Melissa" es captado en un impresionante VIDEO 28 de octubre de 2025 - 12:05 hs Huracanes Viral