1 Jalisco Promoverán juicio para proteger los derechos de mujeres en contienda electoral de Zapopan 2027
5 Jalisco Policía Estatal de Caminos asegura estar tranquila tras hallazgo de presuntos pagos del CNG
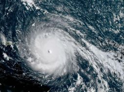
Internacional 'María' avanza rumbo a Puerto Rico tras devastar Dominica 19 de septiembre de 2017 - 08:05 hs América Latina Fenómenos Naturales
Internacional ‘María’ se convierte en un huracán rumbo a las Antillas 17 de septiembre de 2017 - 15:40 hs América Latina Fenómenos Naturales
Internacional ‘María’, amenaza seria para Puerto Rico: gobernador 16 de septiembre de 2017 - 20:57 hs América Latina Fenómenos Naturales
Internacional Trump viajará a Islas Vírgenes y Puerto Rico para evaluar daños 14 de septiembre de 2017 - 17:39 hs Norte América Estados Unidos
Internacional Trump declara situación de desastre en Puerto Rico tras paso de ‘Irma’ 10 de septiembre de 2017 - 09:23 hs Estados Unidos Desastres Naturales
Internacional Multimillonario resiste el paso de Irma y pide ayuda para los afectados 7 de septiembre de 2017 - 13:54 hs Empresas Huracanes
Internacional ‘Irma’ azota Puerto Rico después de devastar Barbuda 6 de septiembre de 2017 - 19:37 hs América Latina Fenómenos Naturales
Internacional ‘Irma’ llega a costas de Puerto Rico 6 de septiembre de 2017 - 16:23 hs América Latina Huracanes
Economía Multimillonario británico esperará a ‘Irma’ en su bodega de vinos 6 de septiembre de 2017 - 12:47 hs Empresas Huracanes