Internacional
Bautizan como 'Chapala' a inusual ciclón en oriente próximo
Yemen podría sufrir graves afectaciones por estar en una región seca; en dos días lloverá lo de todo un año
GINEBRA, SUIZA (30/OCT/2015).- La Organización Meteorológica Mundial (
OMM) bautizó con el nombre de "Chapala" al ciclón potencialmente devastador que en las próximas horas se podría convertir en una "súper tormenta ciclónica", con vientos de hasta 220 o 230 km/h, lo equivalente a un huracán de categoría 4.
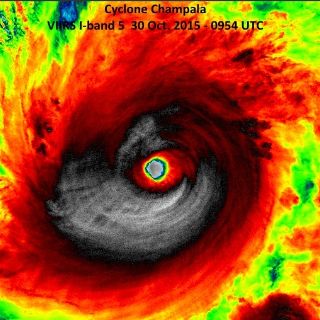
El ciclón "Chapala" se formó en el mar de Omán, país localizado al suroeste de Asia, en la costa sureste de la península arábiga, y si sigue su trayectoria podría pegar el lunes en Yemen, un territorio que está sumido en un conflicto armado.
Los ciclones tropicales son extremadamente inusuales en la península arábiga.
"Estamos muy preocupados, lo estamos vigilando y esperamos que el impacto en el Yemen sea limitado", dijo en Ginebra la portavoz de la OMM, Clare Nullis.
El ciclón grave más reciente impactó en Omán en 2007, causando 50 muertos y pérdidas millonarias.
¿Por qué es tan inusual este ciclón "Chapala"?
Además del nombre que a los mexicanos nos resulta familiar por asociarlo con el lago ubicado entre Jalisco y Michoacán, el ciclón podría afectar una región de clima seco.
Yemen no se encuentra preparado para las lluvias que podrían ocurrir en los próximos días, lo que hace temer que las infraestructuras queden gravemente dañadas y que se produzcan deslizamientos de tierra.
Es inédito además porque la portavoz de la OMM, Clare Nullis, dijo que no existen registros de que en el pasado un ciclón haya pasado por Yemen.
"Los impactos más graves los traerán las abundantes lluvias, ya que el área recibirá el equivalente a las precipitaciones de un año en tan sólo un par de días", afirmó Nullis.
En Omán se pronostica un impacto severo en Salalah, una pequeña población costera del sur, con alrededor de 200 mil habitantes.
Con información de AFP y EFE
El ciclón "Chapala" se formó en el mar de Omán, país localizado al suroeste de Asia, en la costa sureste de la península arábiga, y si sigue su trayectoria podría pegar el lunes en Yemen, un territorio que está sumido en un conflicto armado.
Los ciclones tropicales son extremadamente inusuales en la península arábiga.
"Estamos muy preocupados, lo estamos vigilando y esperamos que el impacto en el Yemen sea limitado", dijo en Ginebra la portavoz de la OMM, Clare Nullis.
El ciclón grave más reciente impactó en Omán en 2007, causando 50 muertos y pérdidas millonarias.
¿Por qué es tan inusual este ciclón "Chapala"?
Además del nombre que a los mexicanos nos resulta familiar por asociarlo con el lago ubicado entre Jalisco y Michoacán, el ciclón podría afectar una región de clima seco.
Yemen no se encuentra preparado para las lluvias que podrían ocurrir en los próximos días, lo que hace temer que las infraestructuras queden gravemente dañadas y que se produzcan deslizamientos de tierra.
Es inédito además porque la portavoz de la OMM, Clare Nullis, dijo que no existen registros de que en el pasado un ciclón haya pasado por Yemen.
"Los impactos más graves los traerán las abundantes lluvias, ya que el área recibirá el equivalente a las precipitaciones de un año en tan sólo un par de días", afirmó Nullis.
En Omán se pronostica un impacto severo en Salalah, una pequeña población costera del sur, con alrededor de 200 mil habitantes.
Con información de AFP y EFE